/hr/prod/real-estate/7073/cover/zminj-istrie-prostorny-stavebni-pozemek-na-prodej.webp)
Žminj, Istrie – Prostorný stavební pozemek na prodej
Přehled připravenosti nemovitosti
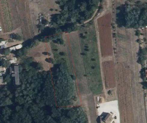
Tento stavební pozemek o rozloze 2370 m² se nachází v klidné vesnici poblíž Žminje a nabízí skvělou příležitost pro ty, kteří chtějí postavit dům obklopený přírodou. Velký, obdélníkový a převážně rovinatý terén zajišťuje snadnou výstavbu, přičemž mírný západní svah dodává krajině charakter. K dispozici jsou přípojky elektřiny a vody a přístupová cesta vede přímo k pozemku. Díky strategické centrální poloze v Istrii má tento pozemek vynikající investiční potenciál. Navíc je možné pozemek rozdělit na dvě stavební parcely.
Žminj je historické město ve střední Istrii, známé svým klidným venkovským prostředím, tradičním kouzlem a výhodnou dostupností do klíčových istrijských měst. Pouhých 20 kilometrů od Rovinje, Poreče a Puly je tato lokalita ideální pro ty, kteří chtějí využít jak klidné venkovské prostředí, tak živé přímořské atrakce. V blízkosti najdete turistické a cyklistické stezky, obchody, restaurace a základní občanskou vybavenost vzdálenou jen 2 kilometry.
Všechny dostupné nemovitosti a prémiové nabídky v regionu: Žminj
/central/prod/contact/37/01KFFPCGH78HYVDM5K33B56TDY/famalo.png)
V prémiových nemovitostech není hlavní výzvou najít nabídky. Důležité je rozpoznat ty, které si skutečně zaslouží vaši pozornost.
Právě v tom spočívá přínos Famalo. Jde o moderní realitní platformu, která pomáhá dělat první rozhodnutí při výběru nemovitosti jasněji, rychleji a s lepším zaměřením na to podstatné.
Pro kupující to znamená výběr, který více odpovídá jejich skutečným preferencím. Méně zbytečného šumu. Lepší výchozí bod pro hledání i rozhodování. V některých případech mohou získat také přístup k off-market nabídkám, které nejsou běžně dostupné na otevřeném trhu.
Pro partnery Famalo přináší lepší viditelnost před publikem, které aktivně hledá, má jasný zájem a je finančně připravené jednat. Výsledkem jsou kvalitnější kontakty a přesnější propojení mezi nabídkou a skutečným zájmem.
Postaveno na reálném zájmu. Kvalitnější výběr. Lepší začátek.

Prodávejte globálně s Famalo
Oslovte seriózní mezinárodní kupující. Pracujte s předkvalifikovanými klienty.
Na základě dat a precizního marketingu
S podporou Famalo Buyers Club
Potvrzuji, že jsem si přečetl/a a souhlasím s podmínkami Obchodní podmínky pro kupující a Zásady ochrany osobních údajů.
/hr/prod/real-estate/7073/img_0/zminj-istrie-prostorny-stavebni-pozemek-na-prodej-1.webp)
/hr/prod/real-estate/7073/img_1/zminj-istrie-prostorny-stavebni-pozemek-na-prodej-2.webp)
/hr/prod/real-estate/7073/img_2/zminj-istrie-prostorny-stavebni-pozemek-na-prodej-3.webp)
/hr/prod/real-estate/7073/img_3/zminj-istrie-prostorny-stavebni-pozemek-na-prodej-4.webp)