/hr/prod/real-estate/7073/cover/zminj-istria-amplio-terreno-edificable-en-venta.webp)
Žminj, Istria – Amplio terreno edificable en venta
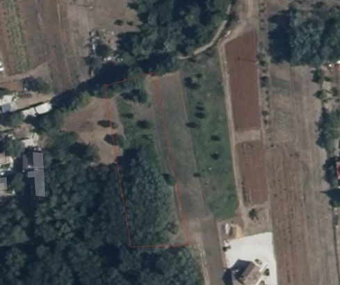
Estado de preparación del inmueble
Ubicado en un tranquilo pueblo cerca de Žminj, este terreno edificable de 2370 m² ofrece una oportunidad fantástica para quienes buscan construir una casa rodeada de naturaleza. El terreno, grande, rectangular y mayormente llano, garantiza una construcción sencilla, mientras que una pequeña pendiente hacia el oeste aporta carácter al paisaje. Hay conexiones de electricidad y agua disponibles, y un camino de acceso conduce directamente a la parcela. Gracias a su ubicación central y estratégica en Istria, este terreno ofrece un excelente potencial de inversión. Además, existe la posibilidad de dividir el terreno en dos parcelas edificables.
Žminj es una ciudad histórica en el centro de Istria, conocida por su entorno rural tranquilo, su encanto tradicional y su acceso conveniente a las principales ciudades de la región. A solo 20 kilómetros de Rovinj, Poreč y Pula, esta ubicación es ideal para quienes desean disfrutar tanto de la tranquilidad rural como de las animadas atracciones costeras. Cerca encontrará rutas de senderismo y ciclismo, mientras que tiendas, restaurantes y servicios esenciales están a solo 2 kilómetros.
Todas las propiedades disponibles y ofertas premium en la región: Žminj
/central/prod/contact/37/01KFFPCGH78HYVDM5K33B56TDY/famalo.png)
En el mercado inmobiliario premium, el reto no es encontrar propiedades. Es saber cuáles realmente merecen tu atención.
Ahí es donde entra Famalo. Famalo es una plataforma inmobiliaria moderna diseñada para que las decisiones iniciales sobre propiedades sean más claras, rápidas y enfocadas.
Para los compradores, Famalo ofrece una selección de propiedades más relevante basada en preferencias reales, lo que ayuda a reducir el ruido y crear un punto de partida más claro para la búsqueda y la toma de decisiones. En algunos casos, los compradores también pueden acceder a propiedades fuera de mercado que no están ampliamente visibles en el mercado abierto.
Para los partners, Famalo proporciona una mayor visibilidad ante una audiencia que está activamente buscando, cuenta con capacidad financiera y está lista para actuar. Esto se traduce en consultas más relevantes y una mejor alineación entre visibilidad e interés real de los compradores.
Construido en torno a la intención real del comprador. Una selección de propiedades más inteligente. Mayor relevancia desde el principio.

Vende globalmente con Famalo
Dirígete a compradores internacionales serios. Trabaja con clientes precalificados.
Basado en datos y marketing preciso
Con el apoyo de Famalo Buyers Club
Confirmo que he leído y acepto los Términos y condiciones para compradores y la política de privacidad.
/hr/prod/real-estate/7073/img_0/zminj-istria-amplio-terreno-edificable-en-venta-1.webp)
/hr/prod/real-estate/7073/img_1/zminj-istria-amplio-terreno-edificable-en-venta-2.webp)
/hr/prod/real-estate/7073/img_2/zminj-istria-amplio-terreno-edificable-en-venta-3.webp)
/hr/prod/real-estate/7073/img_3/zminj-istria-amplio-terreno-edificable-en-venta-4.webp)