/hr/prod/real-estate/7073/cover/zminj-istria-priestranny-stavebny-pozemok-na-predaj.webp)
Žminj, Istria – Priestranný stavebný pozemok na predaj
Prehľad pripravenosti nehnuteľnosti
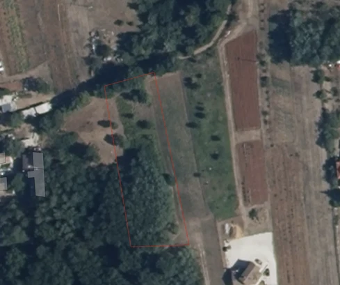
V pokojnej dedinke neďaleko Žminja sa nachádza tento stavebný pozemok o rozlohe 2370 m², ktorý ponúka skvelú príležitosť pre tých, ktorí chcú postaviť dom obklopený prírodou. Veľký, obdĺžnikový a prevažne rovinatý terén umožňuje jednoduchú výstavbu, pričom mierny západný svah dodáva krajine charakter. K dispozícii sú prípojky na elektrinu a vodu a prístupová cesta vedie priamo k pozemku. Vďaka strategickej centrálnej polohe v Istrii má tento pozemok výborný investičný potenciál. Navyše je možné pozemok rozdeliť na dve stavebné parcely.
Žminj je historické mestečko v strednej Istrii, známe svojím pokojným vidieckym prostredím, tradičným šarmom a výhodnou dostupnosťou do kľúčových miest regiónu. Len 20 kilometrov od Rovinja, Poreča a Puly je táto lokalita ideálna pre tých, ktorí chcú využiť pokojné vidiecke prostredie aj živé pobrežné atrakcie. V blízkosti sa nachádzajú turistické a cyklistické trasy, obchody, reštaurácie a základná občianska vybavenosť sú vzdialené len 2 kilometre.
Všetky dostupné nehnuteľnosti a prémiové ponuky v regióne: Žminj
/central/prod/contact/37/01KFFPCGH78HYVDM5K33B56TDY/famalo.png)
V prémiových nehnuteľnostiach nie je hlavnou výzvou nájsť ponuky. Dôležité je vedieť rozpoznať tie, ktoré si naozaj zaslúžia vašu pozornosť.
Práve v tom je Famalo prínosom. Je to moderná realitná platforma, ktorá pomáha robiť prvé rozhodnutia pri výbere nehnuteľnosti jasnejšie, rýchlejšie a s lepším zameraním na to podstatné.
Pre kupujúcich to znamená výber, ktorý viac zodpovedá ich skutočným preferenciám, menej zbytočného šumu a lepší východiskový bod pri hľadaní aj rozhodovaní. V niektorých prípadoch môžu získať aj prístup k off-market ponukám, ktoré nie sú bežne dostupné na otvorenom trhu.
Pre partnerov Famalo prináša lepšiu viditeľnosť pred publikom, ktoré aktívne hľadá, má jasný záujem a je finančne schopné konať. Výsledkom sú kvalitnejšie kontakty a presnejšie prepojenie medzi ponukou a skutočným záujmom.
Postavené na reálnom záujme. Kvalitnejší výber. Lepší začiatok.

Predávajte globálne s Famalo
Oslovte serióznych medzinárodných kupujúcich. Pracujte s predkvalifikovanými klientmi.
Na základe dát a precízneho marketingu
S podporou Famalo Buyers Club
Potvrdzujem, že som si prečítal/a a súhlasím s Všeobecné obchodné podmienky pre kupujúcich a Zásady ochrany osobných údajov.
/hr/prod/real-estate/7073/img_0/zminj-istria-priestranny-stavebny-pozemok-na-predaj-1.webp)
/hr/prod/real-estate/7073/img_1/zminj-istria-priestranny-stavebny-pozemok-na-predaj-2.webp)
/hr/prod/real-estate/7073/img_2/zminj-istria-priestranny-stavebny-pozemok-na-predaj-3.webp)
/hr/prod/real-estate/7073/img_3/zminj-istria-priestranny-stavebny-pozemok-na-predaj-4.webp)